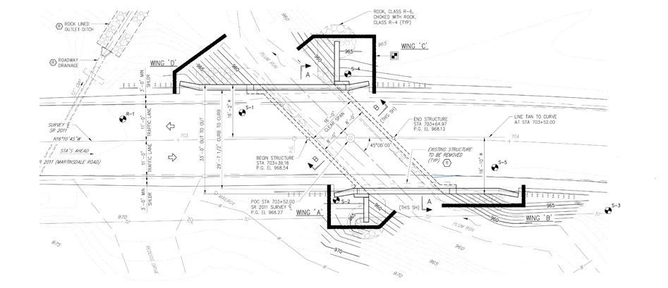
S.R. 2011 Section C10
Michael Kilgore
Cost: $0.81 Mil.
Contact: Andrew Benchek (Retired)
Conceptual Design for Design-Build Proposal & Design Review
Use the form on the right to contact us.
You can edit the text in this area, and change where the contact form on the right submits to, by entering edit mode using the modes on the bottom right.
123 Street Avenue, City Town, 99999
(123) 555-6789
email@address.com
You can set your address, phone number, email and site description in the settings tab.
Link to read me page with more information.
SPK Engineering's past projects
Cost: $0.81 Mil.
Contact: Andrew Benchek (Retired)
Conceptual Design for Design-Build Proposal & Design Review